Depuis mi-mars, nous avons dans la classe un élevage de … . En fait on ne sait pas quoi encore !
Les hypothèses vont bon train. Pour certains, ce sont des fourmis pour d’autres des araignées, d’autres encore des mouches ou des coccinelles.
Ce que nous avons observé pour l’instant ce sont des petites boules jaunes posées sur un carton ondulé.
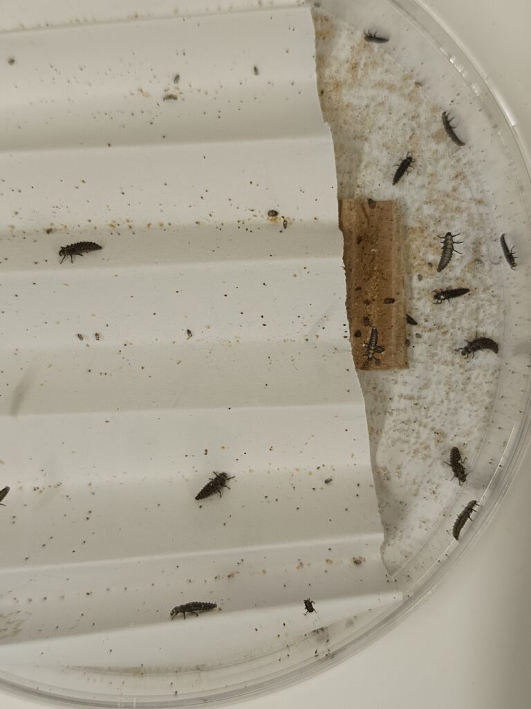
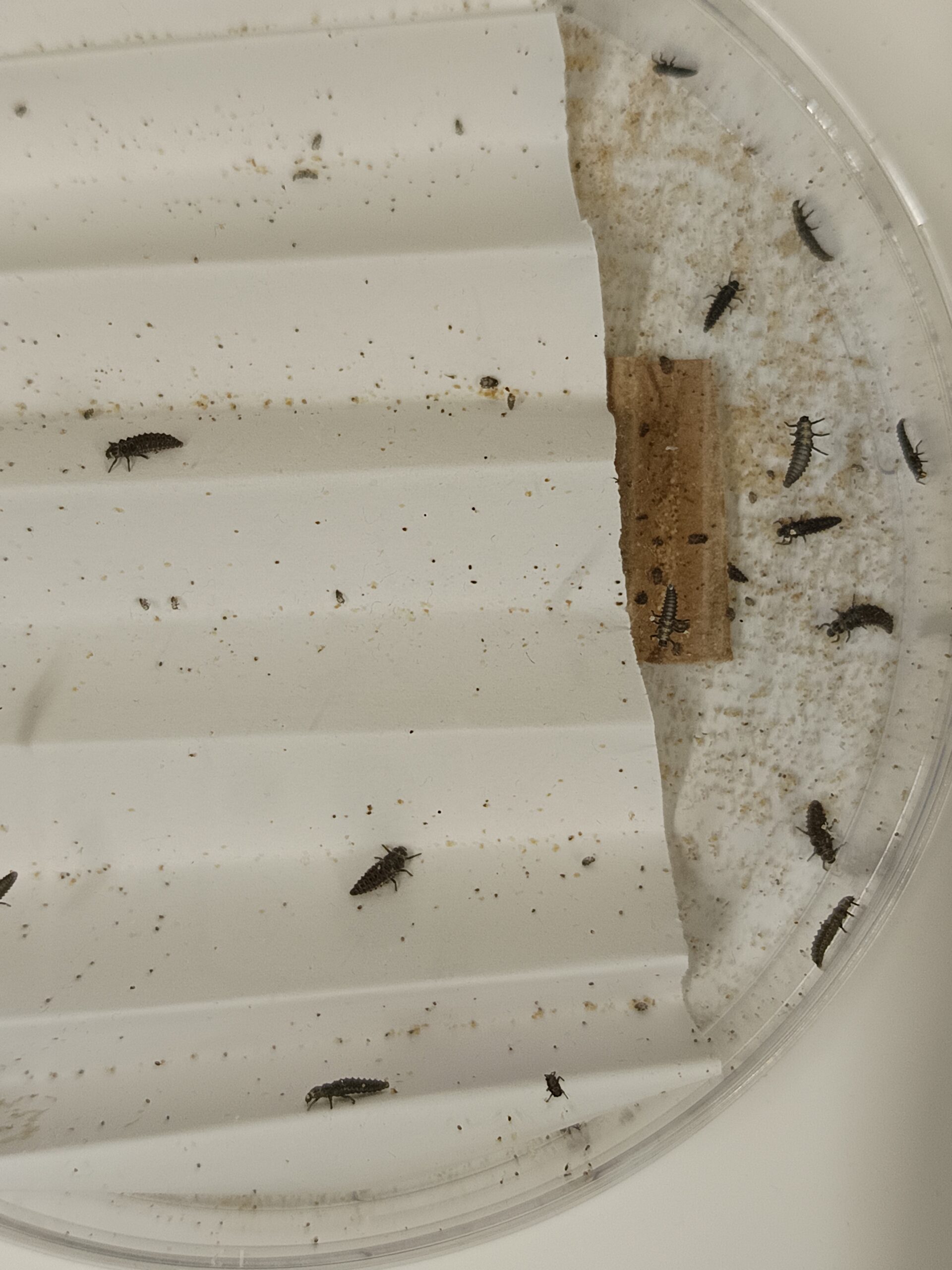
Quelques jours plus tard, les petites boules jaunes avaient disparu. Il y avait des petits insectes noirs, mais vraiment tout petit petit.
La maîtresse leur a donné de la nourriture. Quelques jours plus tard ils avaient grossi, on distingue bien six pattes et trois parties sur le corps. Nous pouvons donc affirmer que ce sont des insectes et non pas des araignées !
Les petites bêtes de notre élevage grossissent. Après les 4 stades larvaires, nos insectes abordent le stade de nymphose.
Puis après plusieurs jours à ce stades, enfin nous pouvons découvrir des coccinelles !



